Erhvervslokaler - tilkørselsforhold og faciliteter
Erhvervspark Stop 39 udbyder nybyggede lagerlokaler til leje og salg
De optimale tilkørselsforhold kombineret med beliggenheden, lige midt i Danmark tæt på motorvej E20, sikrer enklere arbejdsgange.
Alle lagerlokalerne er velindrettede og klar til at blive taget i brug.
Klik på billederne her på siden for at se en større udgave.
Optimale tilkørselsforhold
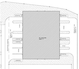
 | Tilkørselsforhold - tegning - 18m. vandret areal foran sluser
- 50m. afstand mellem bygninger
- 7m. kørevej
- Adgang for modullastvogne
|
 | Tilkørselsforhold - forklaringsbillede |
Faciliteter udvendigt
 | UDVENDIGT Hele området fremtræder indflytningsklart og er udvendigt belagt overalt med SF-sten. |

| Nummer 25C - 1000 m2 hal
- 70 m2 kontor / personalefaciliteter
|
Udvendigt
 | UDVENDIGT - Facade 27A
- 1000 m2 hal
- 40 m2 kontor / personalefaciliteter
|
|
|
Faciliteter indvendigt

| INDVENDIGT - Gulvet i lagerhallen er armeret til truck og lastbilkørsel og lagerhallen har både port og læssebro
- Isoleret og opvarmet til 20 grader og en frihøjde på 6.5 meter
- Mandskabsfaciliteter med kontor / køkken, omklædningsrum med toilet og bruser.
|
| Kontor
- Kontor og velfærdslokaler på 1.sal ca. 40 m2 – kan udvides til 144m2
- 1.stk. toilet i stueetage.
|
Kontakt os nu
og hør nærmere om leje og betingelser.